Tin bão mới nhất: "Quái vật" Haiyan có thể tạo ra cột sóng 7m
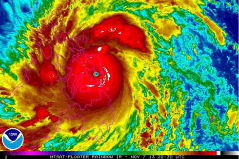
Theo số liệu từ Trung tâm Cảnh báo bão của hải quân Mỹ, ngay sau khi Haiyan đổ bộ vào Philippines, tốc độ gió gần tâm bão đã đạt 314 km/h, còn gió trong tâm bão di chuyển với tốc độ lên tới 379 km/h. Với tốc độ như thế, Haiyan là cơn bão mạnh nhất trong lịch sử nhân loại. Trước đây chỉ có ba cơn bão duy trì được sức gió gần với cường độ này là bão Camille (1969), siêu bão Tip (1979), và cơn bão Allen (1980).
![]() |
| Ảnh vệ tinh chụp siêu bão Haiyan khi bắt đầu tiến vào lãnh thổ Philippines. |
Với sức gió như vậy, Haiyan có khả năng gây thiệt hại nghiêm trọng ở miền Trung Philippines.
Ryan Maue, một nhà khí tượng học tại WeatherBELL Analytics cho biết cơn bão này tránh được những ‘chướng ngại vật’ mà những cơn bão mạnh khác hay gặp, khiến nó không bị suy yếu và tiếp tục duy trì sức mạnh gần tới mức giới hạn cao nhất về lý thuyết của một cơn bão trong 24 giờ qua.
![]() |
| Một ngôi nhà trôi ra biển sau khi bão Haiyan đổ bộ vào thành phố Legazpi, tỉnh Albay sáng 8/11. |
Sau khi tấn công vào tỉnh Leyte, Sở Khoa học và Công nghệ của Philippines cho rằng cơn bão sẽ quét qua miền Trung Philippines từ tỉnh Biliran đến Busuanga trước khi đi ra biển ở phía tây Philippines. Bộ này cảnh báo bão có thể tạo ra những cột sóng cao tới 7m, lũ lụt và sạt lở đất. Cuộc sống của 220.000 người dân tại thành phố Tacloban, tỉnh Leyte đang gặp nguy hiểm khi cơn bão với tốc độ gió dữ dội nhất tiến vào bờ. Bão gây mưa lớn khiến các đường phố bị ngập và nhiều tòa nhà hư hỏng nặng.
![]() |
| Cảnh tan hoang vì bão Haiyan ở thành phố Ormoc, Philippines. |
Mai Zamora thuộc tổ chức từ thiện World Vision cho biết: "Gió ở đây rất to. Bão rất mạnh và trời đang mưa rất lớn. Các đồng nghiệp của chúng tôi tại thành phố Tacloban cho biết các tấm tôn bay như diều. Tôn rơi xuống nhiều con đường. Nhiều con đường ở Tacloban cũng đã bị ngập nước".
Cơn bão cũng đã tấn công Cebu, tỉnh lớn thứ hai của Philippines và khiến ở đây mất điện trên diện rộng. Đến giữa trưa, siêu bão Haiyan di chuyển đến tỉnh Iloilo.
Ủy ban Quản lý và Giảm nhẹ nguy cơ thảm họa Quốc gia Philippines cho biết đã có 3 người bị thiệt mạng vì siêu bão - bao gồm 2 bị điện giật và một người chết vì bị sét đánh.
Jeff Masters, giám đốc khí tượng của công ty Weather Underground tại Mỹ, nhận định, thiệt hại mà bão Haiyan gây nên đối với một thành phố bất kỳ "có thể lên tới mức khủng khiếp nhất mà một cơn bão nhiệt đới từng gây ra trong vòng 100 năm qua".


