Bão Maria mạnh lên cấp 5, tiếp tục đe dọa khu vực Caribe và Mỹ

Theo CNN, bão Maria trên Đại Tây Dương đang mạnh dần lên cấp 5 – cấp cực kỳ nguy hiểm và tiếp tục hướng tới khu vực Caribe và quần đảo Virgin của Mỹ.

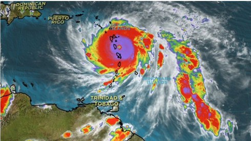
Bão Maria được cảnh báo có thể gây ra thảm họa.

Trung tâm Phòng chống Bão Quốc gia Mỹ (NHC) cảnh báo, cơn bão Maria “có khả năng gây ra thảm họa” đã mạnh lên cấp 5, sức gió 258km/h hoặc thậm chí lớn hơn, đang hướng tới vùng biển Caribe như Dominica, Puerto Rico - nơi vừa chịu ảnh hưởng nặng nề của bão Irma.

NHC nhấn mạnh, bão Maria có thể tàn phá nghiêm trọng những nơi mà nó đi qua với lượng mưa rất lớn tại Leeward, Puerto Rico và quần đảo Virgin thuộc Mỹ vào đêm 20/9. Bão có khả năng gây ngập lụt nghiêm trọng và một số tình trạng nguy hiểm, đe dọa tính mạng con người.

Đường đi của bão Maria.

Tổng thống Mỹ Donald Trump đã tuyên bố tình trạng khẩn cấp tại Puerto Rico để chuẩn bị các biện pháp trợ giúp liên bang nhằm đối phó với bão.

Chính quyền Puerto Rico đang cho sơ tán người dân khỏi các khu vực nguy hiểm. Thống đốc Ricardo Rossello của Puerto Rico cho hay: “Chúng tôi muốn cảnh báo mọi người ở Puerto Rico rằng, đây là cơn bão lớn nhất chúng ta từng phải đối mặt”.

Trong khi đó, Thủ tướng Dominica Roosevelt Skerrit đã kêu gọi người dân cất dọn những đồ đạc có thể bị bão cuốn bay, gây nguy hiểm cho người và nhà cửa.

Phát biểu trên truyền hình, ông Skerrit cảnh báo: "Mọi người hãy dọn dẹp quanh nhà thay vì tích trữ lương thực. Tình trạng khẩn cấp sẽ không kéo dài quá lâu, do vậy, mục tiêu của chúng ta không phải tích trữ lương thực mà là giảm nhẹ thiệt hại do các vật thể bay gây ra”.

Phạm Khánh (Lược dịch)

Tổng quan Phát triển bền vững 2024 của BAT Việt Nam: Những thành tựu ấn tượng

BAT Việt Nam công bố bản Tổng quan Phát triển Bền vững 2024, minh bạch hóa chiến lược, các sáng kiến trọng điểm và kết quả thực hiện phát triển bền vững trong năm 2024, cho thấy hướng đi bền vững của doanh nghiệp đang tiến triển theo chiều sâu.

Người Việt ở Canada thắp lửa cho giấc mơ ô tô điện

Từ phòng thí nghiệm nhỏ ở Sherbrooke (Canada), những nhà khoa học Việt Nam lặng lẽ nghiên cứu pin, thuật toán và AI cho ô tô điện – với niềm tin một ngày sẽ ứng dụng trên xe Việt.

Tuyên Quang: Tài xế tố bị giữ xe, đòi tiền chuộc 500 triệu đồng

Một vụ việc có dấu hiệu cưỡng đoạt tài sản và chiếm giữ phương tiện trái pháp luật đang gây bức xúc trong giới vận tải.

2 giải đấu Taekwondo kịch tính trong tuần lễ thể thao của CJ K Festa 2025

Những bài quyền đẹp mắt, những trận đối kháng đỉnh cao thể hiện sức mạnh và tinh thần võ đạo thu hút khán giả tại 2 giải Taekwondo đang diễn ra tại TP.HCM.

Báo chí Việt Nam: Đổi mới vì sự nghiệp xây dựng và bảo vệ Tổ quốc

Sáng nay (19/6), tại Hà Nội, Hội Nhà báo Việt Nam khai mạc Hội báo toàn quốc năm 2025 với chủ đề “Báo chí Việt Nam – Trung thành, Sáng tạo, Bản lĩnh, Đổi mới vì sự nghiệp xây dựng và bảo vệ Tổ quốc”.

SHB - nơi yêu thương lan tỏa, sự sẻ chia chạm đến trái tim

Giữa guồng quay cuộc sống, có những câu chuyện lặng lẽ nhưng ấm áp, có những bàn tay đưa ra đúng lúc, có những tấm lòng rộng mở đồng hành... Tại Ngân hàng TMCP Sài Gòn - Hà Nội (SHB), những điều tử tế vẫn luôn hiện hữu, chạm đến trái tim mọi người.

Diễn viên Võ Hoài Nam: 5 bố con luôn an tâm khi có bà xã quán xuyến

Diễn viên Võ Hoài Nam nói bao nhiêu năm nay bà xã kém 12 tuổi luôn là hậu phương lo lắng mọi thứ cho 5 bố con nên anh rất yên tâm.

Cô gái Nam Định vẽ tranh bằng 'đôi tay' đặc biệt, nuôi ước mơ thành họa sĩ

“Tôi không quyết định được hình hài mình sinh ra nhưng tôi có quyền chọn cách sống”, câu nói ấy đã trở thành động lực, giúp Thơm vượt qua giới hạn của cơ thể, dùng “đôi tay” đặc biệt vẽ lên cuộc đời đầy ý nghĩa.

Bố mẹ mất sớm, cô gái Hải Dương oà khóc khi được anh chị đưa đi ‘hỏi vợ’

Ngày anh chị nhận lời đứng ra lo chuyện cưới hỏi, cô gái Hải Dương xúc động đến bật khóc.

Cử nhân thất nghiệp về quê làm ông chủ vườn ‘cây tỷ đô’

Tốt nghiệp Trường Đại học Thể dục - Thể thao nhưng không xin được việc, anh Đỗ Trọng Học gác lại tấm bằng cử nhân về nhà trồng “cây tỷ đô”, thu nhập nửa tỷ đồng mỗi năm.

Đang cập nhật dữ liệu !