Tin mới nhất về bão Haiyan - bão số 14: Có thể vào vùng biển Quảng Trị - Hà Tĩnh
Theo dự báo của các cơ quan khí tượng Nhật Bản, Hồng Kông, bão Haiyan đang có dấu hiệu di chuyển dọc biển miền Trung nhưng dần xa bờ, hướng ra phía bắc Việt Nam.
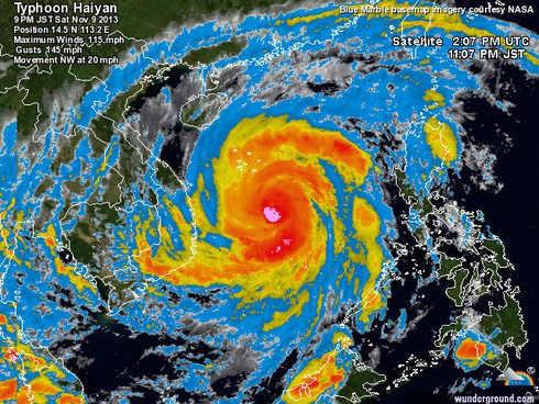
Hình ảnh từ các cơ quan khí tượng quốc tế cho thấy, từ 8-9h tối 9/11/2013, tâm bão Haiyan - bão số 14 đang có xu hướng xa bờ...
Tuy nhiên, bản tin dự báo lúc 9h30 tối 9/11 của Trung tâm DBKT TV Trung ương Việt Nam thì tâm bão vẫn có thể đi vào đất liền.
Dự báo, đến 19 giờ ngày 10/11, vị trí tâm bão ở vào khoảng 18,0 độ Vĩ Bắc; 107,0 độ Kinh Đông, trên vùng biển các tỉnh Quảng Trị – Hà Tĩnh. Sức gió mạnh nhất vùng gần tâm bão mạnh cấp 12, cấp 13 (tức là từ 118 đến 149 km một giờ), giật cấp 14, cấp 15.
Do vậy, cần theo dõi kỹ diễn biến của cơn bão này.
BTV
![]() |
| Wunderground |
![]() |
| Cơ quan Khí tượng Nhật Bản |
![]() |
![]() |
![]() |
| Wunderground |
![]() |
| Wunderground |
Tuy nhiên, bản tin dự báo lúc 9h30 tối 9/11 của Trung tâm DBKT TV Trung ương Việt Nam thì tâm bão vẫn có thể đi vào đất liền.
Dự báo, đến 19 giờ ngày 10/11, vị trí tâm bão ở vào khoảng 18,0 độ Vĩ Bắc; 107,0 độ Kinh Đông, trên vùng biển các tỉnh Quảng Trị – Hà Tĩnh. Sức gió mạnh nhất vùng gần tâm bão mạnh cấp 12, cấp 13 (tức là từ 118 đến 149 km một giờ), giật cấp 14, cấp 15.
Do vậy, cần theo dõi kỹ diễn biến của cơn bão này.
![]() |
BTV
Tổng quan Phát triển bền vững 2024 của BAT Việt Nam: Những thành tựu ấn tượng
BAT Việt Nam công bố bản Tổng quan Phát triển Bền vững 2024, minh bạch hóa chiến lược, các sáng kiến trọng điểm và kết quả thực hiện phát triển bền vững trong năm 2024, cho thấy hướng đi bền vững của doanh nghiệp đang tiến triển theo chiều sâu.
Người Việt ở Canada thắp lửa cho giấc mơ ô tô điện
Từ phòng thí nghiệm nhỏ ở Sherbrooke (Canada), những nhà khoa học Việt Nam lặng lẽ nghiên cứu pin, thuật toán và AI cho ô tô điện – với niềm tin một ngày sẽ ứng dụng trên xe Việt.
Tuyên Quang: Tài xế tố bị giữ xe, đòi tiền chuộc 500 triệu đồng
Một vụ việc có dấu hiệu cưỡng đoạt tài sản và chiếm giữ phương tiện trái pháp luật đang gây bức xúc trong giới vận tải.
2 giải đấu Taekwondo kịch tính trong tuần lễ thể thao của CJ K Festa 2025
Những bài quyền đẹp mắt, những trận đối kháng đỉnh cao thể hiện sức mạnh và tinh thần võ đạo thu hút khán giả tại 2 giải Taekwondo đang diễn ra tại TP.HCM.
Báo chí Việt Nam: Đổi mới vì sự nghiệp xây dựng và bảo vệ Tổ quốc
Sáng nay (19/6), tại Hà Nội, Hội Nhà báo Việt Nam khai mạc Hội báo toàn quốc năm 2025 với chủ đề “Báo chí Việt Nam – Trung thành, Sáng tạo, Bản lĩnh, Đổi mới vì sự nghiệp xây dựng và bảo vệ Tổ quốc”.
SHB - nơi yêu thương lan tỏa, sự sẻ chia chạm đến trái tim
Giữa guồng quay cuộc sống, có những câu chuyện lặng lẽ nhưng ấm áp, có những bàn tay đưa ra đúng lúc, có những tấm lòng rộng mở đồng hành... Tại Ngân hàng TMCP Sài Gòn - Hà Nội (SHB), những điều tử tế vẫn luôn hiện hữu, chạm đến trái tim mọi người.
Diễn viên Võ Hoài Nam: 5 bố con luôn an tâm khi có bà xã quán xuyến
Diễn viên Võ Hoài Nam nói bao nhiêu năm nay bà xã kém 12 tuổi luôn là hậu phương lo lắng mọi thứ cho 5 bố con nên anh rất yên tâm.
Cô gái Nam Định vẽ tranh bằng 'đôi tay' đặc biệt, nuôi ước mơ thành họa sĩ
“Tôi không quyết định được hình hài mình sinh ra nhưng tôi có quyền chọn cách sống”, câu nói ấy đã trở thành động lực, giúp Thơm vượt qua giới hạn của cơ thể, dùng “đôi tay” đặc biệt vẽ lên cuộc đời đầy ý nghĩa.
Bố mẹ mất sớm, cô gái Hải Dương oà khóc khi được anh chị đưa đi ‘hỏi vợ’
Ngày anh chị nhận lời đứng ra lo chuyện cưới hỏi, cô gái Hải Dương xúc động đến bật khóc.
Cử nhân thất nghiệp về quê làm ông chủ vườn ‘cây tỷ đô’
Tốt nghiệp Trường Đại học Thể dục - Thể thao nhưng không xin được việc, anh Đỗ Trọng Học gác lại tấm bằng cử nhân về nhà trồng “cây tỷ đô”, thu nhập nửa tỷ đồng mỗi năm.

.png?width=0&s=TQxtuQsG8m4TeAo0wC0ieQ)




