Patricia - Siêu bão mạnh chưa từng thấy, sắp "hủy diệt" Tây bán cầu
Đây là cơn bão mạnh cấp 5, được cho là mạnh nhất ở khu vực Tây bán cầu từ trước đến nay, Tổ chức Khí tượng thế giới so sánh Patricia với cơn bão Haiyan năm 2013 ở Philippines khiến hàng nghìn người chết.
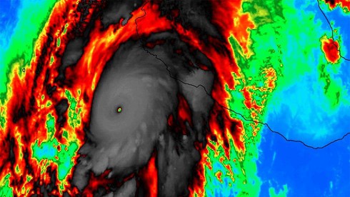
![]() |
Bão Patricia cấp 5 đổ bộ vào Mexico. Nguồn: NSA |
Dưới đây là 5 điều cần biết về siêu bão Patricia:
1. Patricia là cơn bão mạnh nhất từng ghi nhận ở Tây bán cầu
Với sức gió đạt mạnh nhất là 321 km/h vào lúc 4h sáng ngày 24/10, Trung tâm Bão quốc gia Mỹ khẳng định đây là cơn bão mạnh nhất từng được ghi nhận ở khu vực Tây bán cầu, bao gồm cả Đại Tây dương và vùng biển trung-đông Thái Bình Dương.
Theo Trung tâm Khí tượng thế giới (WMO), Patricia mạnh lên nhanh chóng vào ngày 23/10 và trở thành cơn bão chỉ trong một đêm. Patricia di chuyển với tốc độ 12 km/giờ. Khi tới gần đất liền, tốc độ cơn bão giảm xuống còn 265 km/h.
2. Patricia phá vỡ mức áp suất kỷ lục của cơn bão Wilma 10 năm trước
Ngày 19/10/2005, cơn bão Wilma phát triển với tốc độ kinh hoàng ở khu vực phía Tây Caribbean, tạo ra một kỷ lục về áp suất khí quyển thấp nhất ở Tây bán cầu, vào khoảng 882 millibar. Thế nhưng, áp suất của Patricia còn thấp hơn, chỉ 880 millibar đo được vào sáng 23/10, phá vỡ kỷ lục của Wilma.
![]() |
Đường đi của Patricia. |
Thêm vào đó, Patricia có thể là tạo ra mức giảm áp suất khí quyển nhanh nhất từng được quan sát trong một cơn bão nhiệt đới. Kỷ lục hiện tại là mức giả 100 millibar chỉ trong vòng 24 tiếng của cơn bão Forrest ngày 22/9/1983.
Áp suất thấp có nghĩa là cơn bão này có sức gió khủng khiếp và có thể gây ra sức tàn phá lớn, ngoại trừ yếu tố mưa, vốn độc lập với áp suất và sức gió.
3. Sức tàn phá kinh khủng khi Patricia đi qua
Với mức gió siêu mạnh, hơn 300 km/h, cơn bão Patricia có thể tạo ra một sự tàn phá nghiêm trọng ở nơi đâu mà nó đi qua. Có thể khu vực chịu ảnh hưởng nhiều nhất là bang Jalisco của Mexico, nằm giữa Manzanillo và Puerto Vallarta.
![]() |
Những khu vực chịu ảnh hưởng của bão. |
Bão Patricia dự kiến gây ra gió mạnh đến nỗi có thể nâng cả một máy bay hạng nhẹ. Giới chức Mexico cảnh báo, gió lốc có thể cuốn cả ôtô bay lên trời, phá hủy nhiều nhà cửa. Mưa to gây ra ngập lụt nghiêm trọng và dẫn đến lở đất.
Quỹ phòng chống thiên tai Mexico dự đoán, bão Patricia sẽ ảnh hưởng đến hàng triệu người dân nước này. Khoảng 400.000 dân đang sống ở những vùng có thể gánh thiệt hại nhiều nhất.
4. Sức gió mạnh nhất tương đương lốc xoáy cấp 5
Với sức gió nhanh và mạnh, những nơi gần tâm bão có thể tạo ra các cơn lốc xoáy ở cấp 5. Những cơn bão có sức hủy diệt được đánh giá ở cấp 5 khi có tốc gió từ 300 km/h trở lên.
5. Độ ẩm và ảnh hưởng của bão Patricia làm trầm trọng thêm tình trạng lụt lội ở Mỹ
Độ ẩm trong không khí cộng thêm ảnh hưởng thời tiết từ siêu bão Patricia sẽ khiến tình trạng lụt lội ở các bang phía Nam nước Mỹ thêm nghiêm trọng. Các biểu mẫu dự báo thời tiết cho thấy Patricia sẽ gây lở đất ở Mexico, độ ẩm không khí tăng, lan sang cả miền Nam bang Texas, Mỹ vào cuối tuần này.
Nội dung được tham khảo từ nguồn tin Weather.com, đây là một trang web uy tín của Đức chuyên về các thông tin dự báo thời tiết, phân tích tình hình thời tiết, các cơn bão, dự báo và ý kiến của các chuyên gia trong lĩnh vực khí hậu, môi trường.


